Choć teren nie sprzyja wykonywanym pracom już możemy zobaczyć wyraźny zarys drogi. Wykonano tymczasowy most nad potokiem Trójnica oraz wymieniany jest grunt pod budowę drogi. Miejscami zachodzi konieczność wymiany gruntu nawet do głębokości 2m.
Również prace związane z budową dróg w Białogórzu, Gronowie, Tylicach, Kunowie, Przesieczanach, Spytkowie i Trójcy zostały rozpoczęte. Niestety na etapie tyczenia geodezyjnego okazało się, że dla kilku przypadków nie ma wyznaczonych granic działek przyległych do drogi, a w związku z tym musimy dokonać ich okazania. Nie jest to znaczący problem w realizacji zadania lecz niestety czasochłonny.
[xyz-ips snippet=”reklama-plaska”]Z początkiem roku został ogłoszony nabór do Rządowego Funduszu Rozwoju Dróg tym razem na remonty dróg. Z naszej strony zostały wytypowane dwie drogi do całkowitej wymiany nawierzchni ścieralnej oraz odtworzenia poboczy. Jest to droga publiczna nr 109132D w Jerzmankach długości 790 m kier. Stacja PKP oraz droga nr 109140D w Jędrzychowicach długości 350 m odcinek pomiędzy wiaduktem a DW 351. Mamy nadzieję, że uda się nam pozyskać na ich realizację środki finansowe – są to drogi zaliczane do jednych z najgorszym stanem nawierzchni, a ich doraźne łatanie nie ma już sensu.
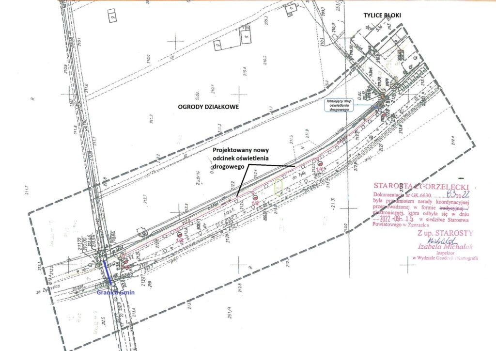
Kolejną inwestycją drogową rozpoczętą jest budowa oświetlenia drogowego w Tylicach od bloków w kierunku Zgorzelca. Inwestycja ta miała być realizowana razem z Miastem Zgorzelec i biec aż do ronda. Z naszej strony dokumentacja została pozyskana oraz zawarta umowa na realizację. Miasto Zgorzelec jest na etapie przygotowania inwestycji obejmującej odcinek od ronda do granic gmin.




Źródło: gmina.zgorzelec.pl
![]()
A gdzie droga w Kostrzynie obiecana parę lat do tyłu?